福井・石川・富山ではじめて家を建てる人のための、住宅情報サイト
掲載住宅会社 582 住宅イベント 329 建築実例 876 住宅写真 11,573

家づくりナビ

石川

LIXIL不動産ショップ ジョイント21

能美市 JOYTOWN道林 新造成地 34号地 建築条件なし 残り2区画!

市民センターや総合病院、郵便局、図書館、スーパー、コンビニ、海水浴場、キャンプ場まで車で数分。小学校まで徒歩約16分、中学校まで徒歩約12分。保育園まで徒歩約6分。
幅広い世代の方にゆったり快適に暮らせる地域に誕生した新造成地。
新しい町の中で新しい住まいで新しい暮らしをしませんか?

生活に便利な立地ながら、閑静な住宅街の土地をお探しの方や
新しい造成地をお探しの方、是非、一度お問い合わせ下さい!
敷地面積、場所、向きなどの条件、価格をチェック☆

イオン小松店・・車で約12分(約4.8km)

能美市根上サービスセンター・・車で約4分(約1.36km)
根上図書館・学習センター・・車で約6分(約2.37km)
根上総合文化会館タント・・車で約6分(約2.28km)

マルエー根上店・・車で約6分(約2.35km)
全日食チェーンR&Fヤマシタ・・徒歩約10分(約740m)
ファミリーマート能美道林店・・徒歩約9分(約670m)

土地情報を問い合わせる
check

周辺情報・
おすすめポイント

  • 区画

access

アクセス

Pin 石川県能美市浜町辰1番2
information

土地基本情報

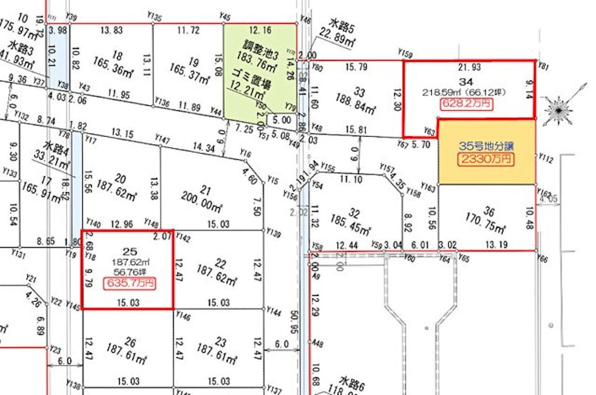
物件名 能美市 JOYTOWN道林 新造成地 34号地
住所 石川県能美市浜町辰1番2
交通

IRいしかわ鉄道 「能美根上」駅 徒歩17分
道林バス停下車 徒歩4分

総区画数 36区画
販売区画数 2区画
土地面積 218.59m² (66.12坪)
地目 宅地
用途地域 第一種低層住居専用地域
建ぺい率・容積率 50%/ 80%
私道負担・道路 二方 (南東側 公道6.0m 間口5.7m) (北東側4.0m 間口9.1m)
造成完了時期
価格(万円) 628.2万円
取引態様 売主
建築条件 なし
土地状況 更地
情報提供日 2025年10月14日
更新予定日 2025年10月28日
取引条件有効期限 2025年10月28日
土地情報を問い合わせる
builder

会社情報

会社名 LIXIL不動産ショップ ジョイント21
住所 石川県金沢市有松1-1-1
TEL 0120-25-0021
免許/所属団体/資格

宅建業/石川県知事( 6 )第3535号、建設業/石川県知事許可(般-3 )第17576号、一級建築士事務所登録/石川県知事登録 第13602号

公式HP https://www.joint21.com/
営業時間 9:00~18:00
定休日 火曜日(月3)、水曜日、年末年始、盆、他